A swan rescued by the RSPCA was found to have swallowed a fishing hook and also had a pellet lodged inside his head.
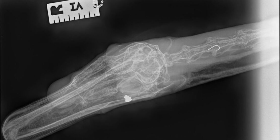
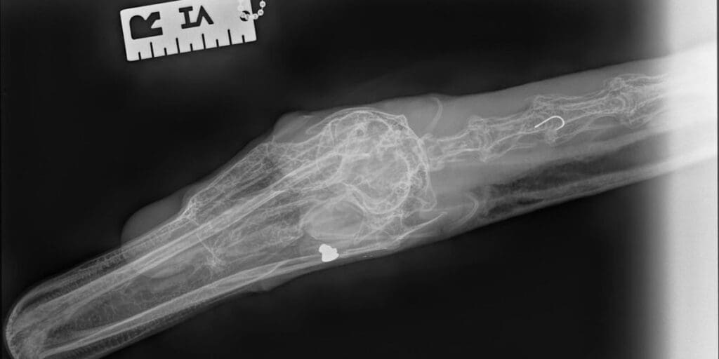
X-Rays on the male swan – found on Thursday 23 May in a pond in the Cefn Golau area in Tredegar – discovered a pellet in his head whilst investigating the fishing litter lodged down his neck. He had also been found with a fishing line around his leg.
Sadly the swan was put to sleep on welfare grounds after rescuers trying to remove the hook – found that it had penetrated the oesophagus and had caused an extensive infection in the neck which could not be treated.
RSPCA Inspector Christine McNeil said: “This is very sad, as this poor swan had really been through some bad luck. He was also on the pond with a female swan and two very young cygnets – and was luckily spotted clearly in distress by a member of the public who contacted the RSPCA.
“He had a fishing line around his leg – which I was able to remove, but he also had fishing line coming from his mouth.
“In addition, a pellet in his head suggested he had been subjected to an air gun attack. This must have caused significant pain and distress when it occurred and is also very concerning that this may have been a deliberate attack on this defenceless animal.”
Christine took the swan to a local vets for X-Rays where the hook and pellet were found, and then he was transferred to RSPCA West Hatch Wildlife Centre in Taunton for further investigations.
“It was hoped surgery may be possible to try and save him – depending on how much damage the hook had done,” she said. “But sadly the damage it had caused was untreatable due to an extensive infection in the neck.”

Wildlife are often the target of air rifle attacks, simply because they are out in the open with no one to protect them. The injuries caused by such attacks are horrific and often fatal. These attacks are often deliberate by people who just don’t care about hurting animals or are deliberately targeting animals to keep them away from gardens.
The RSPCA is calling for tighter controls with better education and explanation of the law when buying an air gun and that everyone must receive basic safety training before being allowed to walk out of the shop.
Any first hand information about an attack on this swan, can be reported to the RSPCA’s Inspectorate Appeal Line on 0300 123 8018 – and those calling can quote log number 1270473.
The RSPCA in Wales revealed in March that it had received more than 600 reports about animals found severely injured, trapped, mutilated, choked or even dead from carelessly discarded litter over the past four years.
While around 40% of all litter-related calls to the RSPCA across England and Wales in 2023 were about animals that had specifically become caught in fishing litter.
Christine said: “It’s simple – when people are out and about, we urge them to hold on to their litter until there is an opportunity to dispose of it safely and responsibly – or recycle where appropriate. As we all strive to create a better world for every animal, this could save an animal’s life.“
The RSPCA says a majority of anglers are careful when fishing – but a small number are letting the community down by not disposing of their waste properly and leaving animals in danger.
“The majority of anglers do dispose of their litter properly and it is frustrating that those who don’t possibly don’t realise how dangerous it is to animals,” added Christine.“Discarded line in particular is a terrible hazard for wildlife, particularly as it can be almost invisible.
“We strongly urge those who enjoy fishing to be extra cautious to make sure nothing is left behind. Most anglers are very responsible when disposing of their litter, but it only takes one piece of snagged line to be left in a tree or dropped near the water to endanger the life of an animal. We ask anglers to follow the Angling Trust Anglers Against Litter campaign and make use of recycling schemes to dispose of their waste tackle.”
